

105037, г. Москва, Измайловский проезд, д. 11, стр.2.
тел. +7 (495) 234-78-05; +7 (495) 764-27-21
www.avtotehexpert.ru, е-mail: avtotehexpert@mail.ru
ЗАКЛЮЧЕНИЕ СПЕЦИАЛИСТА
№ 23,24/17
05.07.2017 г. ООО «ЭКЦ «Автотранспорт» и ... заключили договор на проведение комплексного автотехнического и материаловедческого исследования по определению причины возникновения дефекта шины марки «Continental», модель «ContiEcoContact», размером 205/55R16 91V.
На разрешение исследования поставлены вопросы:
1. Определить причины возникновения дефекта шины в виде вздутия на боковине?
2. Соответствует ли химический состав резины фрагмента автомобильной шины, представленного на исследование, материалу используемого в промышленности для изготовления автомобильных шин?
Исследование поручено специалисту ... (автотехническое исследование), имеющему высшее техническое образование (Московский автомеханический институт) по специальности инженер-механик двигателей внутреннего сгорания, квалификацию судебного эксперта по специальностям «Исследование транспортных средств в целях определения стоимости восстановительного ремонта и остаточной стоимости», «Исследование технического состояния транспортных средств», «Исследование обстоятельств дорожно-транспортного происшествия»; «Исследование следов на транспортных средствах и месте дорожно-транспортного происшествия» (транспортно-трасологическая диагностика), полученных в Российском Федеральном Центре Судебной Экспертизы при Министерстве Юстиции РФ и в Московском автодорожном институте (МАДИ), квалификацию эксперта-автотехника I категории (ГТУ МАДИ), являющийся экспертом-техником и зарегистрированный в государственном реестре Минюста (номер 4551), стаж экспертной работы с 2002 года и специалисту ..., имеющему высшее химическое образование, являющийся кандидатом химических наук, имеющий квалификацию судебного эксперта по специальностям «Исследование НП и ГСМ», «Исследование изделий из резины, пластмасс и других полимерных материалов», стаж экспертной работы по указанным специальностям с 1996 года.
1. Шина марки «Continental», модель «ContiEcoContact», размером 205/55R16 91 V.
1. Экспертное исследование технического состояния транспортных средств, - М.: ВНИИСЭ, - 1984.
2. Методическое руководство «Исследование недостатков легковых автомобилей отечественных моделей, находящихся в эксплуатации - РФЦСЭ, Москва 2006 г.
3. Правила эксплуатации автомобильных шин – НИИШП, 1997 г.
4. Колёса и шины – изд. «За рулём», 2007 г.
5. Резина. Идентификация. Метод ИК - спектрометрии. ГОСТ 28665-90 (ИСО 4650-84).
6. Каталог. Дефекты автомобильных шин 2012 г. — 106 с.
7. Сайдов Г.В., Свердлова О.В. «Практическое руководство по молекулярной спектроскопии»: Учебное пособие / Под ред. Бахишева Н.Г. – Л.: Издательство Ленинградского университета. 1980-136 с.
8. Купцов А.X., Жижин Г. Н. Фурье-спектры комбинационного рассеяния и инфракрасного поглощения полимеров. Справочник. — М.: ФИЗМАТЛИТ, 2001. — 656 с. - ISBN 5-9221-0188-9.
Неисправное состояние (неисправность) - состояние автомобиля или агрегата автомобиля, при котором он не соответствует хотя бы одному из требований требованиям нормативно-технической и (или) конструкторской (проектной) документации.
Дефект - это каждое отдельное несоответствие продукции установленным требованиям. Может включать в себя и повреждение, и отказ.
Конструктивный дефект - это дефект, возникший по причине, связанной с несовершенством или нарушением установленных правил и (или) норм проектирования или конструирования автомобиля.
Производственный дефект - это дефект, возникший по причине, связанной с несовершенством или нарушением установленного процесса изготовления или ремонта.
Эксплуатационный дефект - это дефект, возникший по причине, связанной с нарушением установленных правил и (или) условий эксплуатации автомобилей.
На исследование поступила шина марки «Continental», модель «ContiEcoContact», размером 205/55R16, с индексом грузоподъёмности и скорости 91 V, шина имеет радиальную конструкцию, год изготовления 2013, страна производитель Slovakia – фото 1-7.
Внешний осмотр проводился с применением фотоаппарата марки Sony SLT-A58K и дополнительного увеличительного объектива марки Sony SAL50M28. В процессе осмотра использовался микроскоп «Микмед-2000R, масштабная и измерительная линейка.




На протекторе шины значительного, неравномерного (одностороннего) износа не зафиксировано (протектор не изношен по индикаторам) – фото 8,9. Место, где имелось вздутие боковины, расположено на внутренней стороне шины (на шине имеется надпись - insade) и показано крестом красного цвета. В данном месте, а также на протекторе в районе расположения красного креста, отсутствуют какие-либо следы (трассы) и механические повреждения (потёртости, надрывы, трещины, сколы, порезы, проколы, царапины, задиры, расслоения, пробои и т.д.), оставленные от контактного взаимодействия протектора и боковины шины, с каким-либо предметом – фото 10-12.



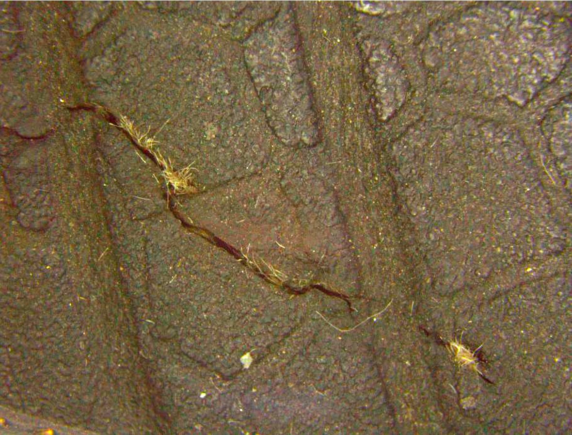
Внутри шины, напротив креста красного цвета (где имелось вздутие боковины), зафиксирован разрыв резины в виде трещины длиной около 15 мм – фото 13,14. В данном месте следы (трассы) и потёртости, оставленные от контактного взаимодействия с каким-либо твёрдым предметом, не зафиксированы.


В процессе осмотра, для проведения материаловедческого исследования, был отрезан фрагмент шины с местом расположения красного креста на боковине – фото 15,16.

При детальном осмотре (в том числе под микроскопом) разрыва резины в виде трещины и места вокруг повреждения зафиксировано следующее:
а) В месте локализации трещины имеются два повреждения (трещины), расположенных на одной линии – фото 17,18. Первое из них линейной формы длиной около 2 мм, края его относительно ровные, без ярко выраженных выступов и впадин; нити корда разрушены, выступают наружу и несколько вытянуты, концы их несколько истончены, разволокнены. Второе из них несколько извилистой формы длиной около 13 мм, где имеются участки с ровными краями и участки, края которых неровные, в виде выступов и впадин; нити корда разрушены, выступают наружу, несколько вытянуты, концы их несколько истончены, разволокнены. На краях трещин в двух повреждениях не зафиксировано признаков и следов изменения структуры материала резины. Трещины отсутствуют на упрочняющем выступе резины и локализованы под ним – фото 19,20,21,22. Рястяжение и разрыв нитей корда произошло в результате приложения точечной (локальной) недопустимой нагрузки, превышающей их прочность.






б) Нити корда имеют бело-жёртый цвет, расположены параллельно друг другу и имеют одинаковое расстояние между собой (около 1,5 мм), в том числе, и в месте расположения трещины – фото 23,24. Данный факт указывает на то, что отсутствуют конструктивные различия (дефекты) в расстоянии между нитями корда в месте локализации трещины по сравнению с другими местами.


в) Нити корда локализованы на расстоянии около 1,5 мм от поверхности боковины, где расположена трещина (в процессе осмотра был отрезан фрагмент резины в месте локализации трещины) - фото 25-27. Данное незначительное расстояние могло быть причиной повреждения нитей корда при приложении точечной (локальной) нагрузки к поверхностному слою резины.



г) При приложении на внутренний слой резины (рядом с местом возникновения трещины) нагрузки при помощи инструмента с тупым концом, следов в виде трасс, смятия, царапин, потёртостей, проколов, пробоев на резине не остаётся – фото 28. Следы от инструмента с не острым концом не остаются из-за хорошей эластичности резины. При приложении инструмента с острым концом (разрезание при помощи ножа) слой резины и её корд без значительного усилия разрезаются, при этом края нитей корда не выступают наружу, не вытягиваются, не истончаются и не разволакиваются – фото 29.


д) Аналогичных повреждений в виде трещин, а также признаков и следов изменения структуры материала резины на других участках шины не зафиксировано.
Установленные признаки свидетельствуют о том, что данные повреждения комбинированные – колотые с элементами разрыва, возникли при проколе с последующим повреждением и разрушением слоя резины и нитей корда и образованы предметом, имеющим острую ограниченную (локальную) выступающую поверхность.
Для определения соответствия химического состава основного материала шины, материалу используемого в промышленности для изготовления автомобильных шин было проведено материаловедческое исследование.
1. Исследование методом газожидкостной хроматографии (ГЖХ)
Газохроматографический анализ фрагмента шины проводили для определения качественного состава резины автомобильной шины.
Исследование проводили на газовом хроматографе «Кристалл 5000М»с пиролитическим испарителем, хроматограммы обработаны с использованием программного комплекса «Хроматек Аналитик 2.6».
Идентификацию хроматографических пиков проводили по абсолютным временам удерживания (методом сравнения времен удерживания пиков на хроматограммах исследуемых объектов и ранее идентифицированных пиков образцов сравнения каучуков).
Анализ хроматограммы показал наличие пиков, соответствующих времени выхода бутадиена, изопрена, винилхлоргексена и стирола.
Таким образом, на основании проведенных исследований можно сделать следующий вывод.
Основой резины шины автомобиля является бутадиенстирольный каучук.
2. Исследование методом ИК-Фурье-спектроскопии.
С целью установления состава резины автомобильной шины проводилось исследование методом ИК-Фурье-спектроскопии.
Небольшое количество образца резины взятого с боковины шины быстро пиролизовали в пробирке, помещенной в горячую зону газового пламени горелки. Несколько капель пиролизата переносили на пластинку из селенида цинка.
Регистрацию ИК-спектра проводили на ИК-Фурье спектрофотометре «Infralum FT-801». Спектральный диапазон регистрации 4000-600 см-1, режим пропускания, разрешение 4 см-1, число сканирований 50.
Полученный ИК-спектр приведен на рис.1.
ИК-спектр резины взятой от боковины шины автомобиля содержит совокупность полос, характерную для бутадиенстирольного каучука:
- 3100-3000 см-¹ – валентные колебания;
- 2925 см-¹ – валентные колебания vаCH2 (очень интенсивная полоса);
- 2850 см-¹ – валентные колебания vsCH2 (интенсивная полоса);
- 1710 см-¹ – валентные колебания vc=0 (слабая полоса, остаточные смоляные кислоты);
- 1600 см-¹ – валентные колебания (полоса ароматических углеводородов);
- 1514 см-¹ – валентные колебания (полоса ароматических углеводородов);
- 1463 см-¹ – деформационные колебания (интенсивная я полоса);
- 1388см-¹ – деформационные колебания CH3 (интенсивная полоса);
- 965 см-¹ – колебания (интенсивная полоса 1,4- транс фрагментов бутадиена);
- 755 см-¹ – колебания (интенсивная полоса стирольных фрагментов);
- 699 см-¹ – колебания (интенсивная полоса стирольных фрагментов).

ИК-спектр кордовых нитей (рис 2) содержит совокупность полос, поглощения характерную для полиэтилентерефталата (полиэфир на основе терефталевой кислоты, лавсан, дакрон, терилен и др):
- 1739 см-¹ , 1706 см-¹ – валентные колебания С=О в сложноэфирной группе;
- 1250 (1270-1230) см-¹ – валентные колебания С-О группы в ароматической сложноэфирной группе;
- 1127, 1100 см-¹ – валентные колебания О-СН2;
- 1400-1440 см-¹ – деформационные колебания СН-связей метиленовой группы в виде сильных узких полос –СН2-СО- группы;
- 1213 (1225-1175), 1127(1125-1090), 1041 (1070-1000) см-¹ плоскостные деформационные колебания С-Н связи 1,2-, 1,4- и 1,2,4-замещенных ароматического кольца;
- 2957 см-¹ –валентные колебания С-Н в (-СН2-)2;
- 1611 см-¹ , 1578 и 1504 см-¹ – валентные колебания -С=С- в ароматическом кольце;
- 3054 см-¹ – валентные колебания С-Н в ароматическом кольце;
- 732 см-¹ – деформационные колебания СН в замещенном ароматическом кольце;
- 3600-3200 см-¹– валентные колебания-ОН групп полиэфирного волокна, связанных водородной связью

3. Определение наполнителя
Навеску мелконарезанной резиновой крошки 0,15—0,2 г помещали в стакан, заливали 10 мл горячей азотной кислоты, накрывали часовым стеклом и оставляли на ночь. Затем добавляли еще 10 мл азотной кислоты, ставили на водяную баню и выпаривали досуха.
Осадок из стакана переносили на фильтр, смывая и промывая азотной кислотой до обесцвечивания фильтрата. На бумажном фильтре оставался осадок, состоящий из частиц черного цвета. При прибавлении к частицам смеси концентрированной соляной и азотной кислот в соотношении (3:1 объем.), они постепенно растворялись, что характерно для сажи.
На этом основании можно заключить, что в составе резины в качестве наполнителя содержится сажа, представляющая собой порошкообразный углерод с размерами частиц 0,03-0,25 мкм.
На основании результатов проведенных исследований специалист приходит к выводам:
Основным компонентом резины автомобильной шины является бутадиенстирольный каучук, в качестве наполнителя содержится сажа, представляющая собой порошкообразный углерод с размерами частиц 0,03-0,25 мкм. Кордовые нити изготовлены из полиэфира на основе терефталевой кислоты (лавсан, дакрон, и др.). Установленный состав резины является типичным для рецептуры резин используемых в промышленности для изготовления автомобильных шин.
1,2. На исследуемой шине марки «Continental», модель «ContiEcoContact», размером 205/55R16, с индексом грузоподъёмности и скорости 91 V дефект в виде «вздутия» резины на боковине произошёл в результате возникновения разрыва резины в виде трещины длиной около 15 мм на внутренней поверхности шины, расположенной напротив «вздутия».
Основным компонентом резины исследуемой шины является бутадиенстирольный каучук, в качестве наполнителя содержится сажа, представляющая собой порошкообразный углерод с размерами частиц 0,03-0,25 мкм. Кордовые нити изготовлены из полиэфира на основе терефталевой кислоты (лавсан, дакрон, и др.). Установленный состав резины является типичным для рецептуры резин используемых в промышленности для изготовления автомобильных шин.
Разрыв резины в виде трещины имеет признаки внешнего механического воздействия (повреждения колотые с элементами разрыва) и образован предметом, имеющим острую ограниченную (локальную) выступающую поверхность.